Taiwan Typhoon Radar: Live Tracking & Updates

E.Ittepic 52 views
Taiwan Typhoon Radar: Live Tracking & Updates

Taiwan Typhoon Radar: Live Tracking & Updates

Hey everyone! If you’re in Taiwan or have loved ones there, staying informed about typhoon activity is super crucial, right? That’s where the Taiwan typhoon radar comes into play, offering live, real-time insights into these powerful storms. We’re talking about understanding wind speeds, rainfall intensity, and the exact path a typhoon is taking, all at your fingertips. This isn’t just about knowing a storm is coming; it’s about understanding its intensity, its projected landfall, and how best to prepare. Having access to a reliable live typhoon radar means you can make informed decisions, whether that’s securing your home, planning evacuations, or simply knowing when it’s safe to go outside. Think of it as your go-to source for accurate, up-to-the-minute weather intelligence during typhoon season. We’ll dive into how these radars work, where you can find the best live feeds, and why keeping an eye on them is your best defense against severe weather. So, buckle up, guys, because understanding these storms is the first step to staying safe!

Understanding the Power of Live Typhoon Radar Technology

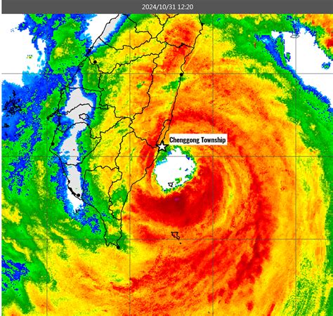
So, what exactly is this Taiwan typhoon radar we keep talking about, and how does it give us that crucial live tracking information? Well, at its core, it’s a sophisticated piece of technology, primarily using Doppler radar systems. These systems emit radio waves that bounce off precipitation – rain, snow, hail – and even objects like debris being carried by the wind. When these waves return to the radar, they carry information about the intensity of the precipitation, its movement, and even the wind speed within the storm. Think of it like a bat using echolocation, but on a massive scale and for weather! The ‘live’ aspect means this data is collected and processed continuously, often every few minutes, and then displayed on maps that are accessible to the public. This real-time update is vital . A typhoon can change direction or intensify rapidly, and a few minutes can make all the difference in how prepared you are. The radar imagery often shows different layers of data: base reflectivity (showing where the heaviest rain is), velocity (showing wind direction and speed, and critically, rotation which can indicate tornado formation within the typhoon), and sometimes even dual-polarization data, which can help identify the type of precipitation (rain, hail, etc.) and the size of raindrops. For Taiwan, an island frequently in the path of these massive storms, this technology is not just a convenience; it’s a lifeline. It helps the Central Weather Administration (CWA) issue timely and accurate warnings, and it empowers individuals and communities to take necessary precautions. We’re talking about seeing those swirling cloud bands, the intense ‘eye’ of the storm, and the projected track overlaid with geographical maps. This visual representation makes the abstract threat of a typhoon much more concrete and actionable. The continuous stream of data allows meteorologists to monitor storm structure, identify potential hazards like eyewall replacement cycles, and refine track and intensity forecasts. For everyday folks, it means seeing exactly where the heavy rain bands are, how fast the winds are picking up in their area, and when the storm is expected to hit hardest. It’s like having a direct line to the storm’s pulse, allowing for more informed decisions about safety and preparedness. The accuracy has improved dramatically over the years, thanks to advancements in radar technology, satellite data integration, and sophisticated computer modeling, making the live typhoon radar an indispensable tool for disaster risk reduction in Taiwan.

Where to Find the Best Live Taiwan Typhoon Radar Feeds

Alright guys, so you’re convinced you need to keep an eye on the Taiwan typhoon radar , but where do you actually find these live feeds? Don’t worry, I’ve got you covered! The most official and reliable source is the Taiwan Central Weather Administration (CWA) . Seriously, bookmark their website. They provide the most accurate and up-to-date radar imagery, satellite photos, and crucial advisories. Their radar maps are usually pretty user-friendly, showing precipitation intensity and storm movement in real-time. Look for sections specifically labeled ‘Radar’ or ‘Weather Radar’. Another fantastic resource is often found on major news websites in Taiwan that have a dedicated weather section. These often pull data directly from the CWA but might present it in a slightly more integrated way with news updates and storm track projections. International weather sites also offer good coverage, though sometimes with a slight delay or less granular detail for Taiwan specifically compared to the CWA. Websites like Windy.com are incredibly popular because they aggregate data from multiple sources (including radar, satellite, and various forecast models) and present it in a highly visual, interactive format. You can literally see the wind, rain, and pressure systems moving across the map. While not exclusively a typhoon radar, its capabilities during a storm are immense. Just make sure you’re looking at the radar data specifically. For social media, following the CWA’s official accounts or reputable weather news outlets can also provide timely updates and links to live radar when a typhoon is active. Remember, during a major event, website traffic can spike, so having a couple of go-to sources is a smart move. The key is to rely on sources that explicitly state they are using data from official meteorological agencies, ensuring you’re getting the most accurate information possible for your live typhoon tracking needs. It’s all about staying connected to the best data available to keep yourself and your loved ones safe.

Interpreting Radar Data: What to Look For

Okay, so you’ve found a live Taiwan typhoon radar , but looking at those swirling colors can be a bit overwhelming at first, right? Let’s break down what you should actually be paying attention to. The most common thing you’ll see is a map overlaid with different colors. These colors generally represent the intensity of precipitation . Greens and yellows often indicate lighter rain, while oranges and reds signal heavy to extremely heavy rainfall. The most critical areas, where flash floods and landslides are most likely, will be in those deep reds and purples. Pay close attention to these! Beyond just rain intensity, many radars show velocity data . This is super important because it tells you about the wind within the storm. Blues and greens might indicate winds moving towards the radar, while yellows and reds show winds moving away. Where you see sharp contrasts between blues and reds very close together, that’s a sign of strong wind shear and potential rotation – a big warning sign for severe weather, including possible tornadoes embedded within the typhoon’s bands. Another key element is the storm’s structure and movement . Look at the overall shape. Is it a tightly wound spiral? Is the eye clearly defined? The path itself is crucial, usually shown as a dashed line with predicted positions marked over time. Compare the radar’s current storm position with the predicted path to see if it’s deviating. You’ll also want to look at the speed at which the storm is moving. A fast-moving storm might give less warning time but could pass through more quickly, while a slow-moving one can dump prolonged, torrential rain over an area, increasing flood risks significantly. Meteorologists also look at things like the ‘hook echo’ or ‘debris ball’ on radar, which are specific signatures indicating severe conditions, but for most of us, focusing on precipitation intensity, wind velocity patterns, the overall storm structure, and its track is the most effective way to use the live typhoon radar . Remember, these colors and patterns are direct visual representations of the immense power and potential danger of the typhoon, so understanding them can significantly boost your preparedness.

Preparing Your Home and Family Using Live Updates

Knowing a typhoon is coming is one thing, but acting on that information is where the live Taiwan typhoon radar truly shines in keeping you and your family safe. When you see the radar showing a storm intensifying and heading your way, it’s time to put your typhoon preparedness plan into action. First things first: secure your property. This means boarding up windows and doors, especially if you’re in a coastal or low-lying area. Check your roof and gutters for any potential issues that could be exacerbated by high winds and heavy rain. Bring in any outdoor furniture, decorations, or anything else that could become a projectile in strong winds. Based on the live radar tracking , you can estimate when the worst conditions are expected to hit your specific location. This timing is critical for planning evacuations if necessary. If authorities issue an evacuation order, do not hesitate . Your life is more important than any possession. Have a go-bag packed with essentials like water, non-perishable food, a first-aid kit, medications, a flashlight, batteries, and important documents. Make sure your phone is fully charged, and have a power bank ready. Discussing your family’s plan before a typhoon hits is vital. Know where you’ll go, how you’ll communicate if separated, and who is responsible for what. The live radar feed also helps you monitor the storm’s progress during its passage. You can see when the heaviest bands are moving overhead and when conditions might temporarily ease (though be wary of the eye passing over, as dangerous conditions return swiftly from the opposite direction). This information helps you decide when it’s safe to stay put and when movement might be necessary. After the storm passes, continue monitoring the radar and official advisories. Flooding can persist, and secondary hazards like landslides or downed power lines can remain dangerous. Using the live updates effectively transforms the radar from a mere weather tool into an essential component of your family’s safety strategy, empowering you to make timely, life-saving decisions.

Beyond the Radar: Complementary Tools for Typhoon Safety

While the Taiwan typhoon radar is an absolute powerhouse for tracking storms in real-time, it’s just one piece of the puzzle when it comes to comprehensive typhoon safety . To truly be prepared, guys, you need to use it in conjunction with other vital resources. Satellite imagery is a fantastic complement. While radar excels at showing precipitation within a certain range, satellites provide a broader view of the entire weather system, including cloud cover, storm structure, and development over vast ocean areas before they even reach Taiwan. This gives you a heads-up on potential threats further out. Official warnings and advisories from the Taiwan Central Weather Administration (CWA) are non-negotiable. These aren’t just data points; they are official assessments of risk, including storm surge warnings, flood watches, landslide warnings, and specific instructions for different regions. Always prioritize these alerts over your own interpretations of radar data alone. Weather apps and news alerts on your smartphone can be incredibly useful, pushing notifications directly to you when warnings are issued or when a typhoon is nearing. Just ensure you’re getting these from reputable sources that cite official data. Computer forecast models (like the GFS, ECMWF, etc.) provide projections of a typhoon’s future track and intensity. While these are forecasts and can change, looking at a consensus of different models can give you a better idea of the likely path and strength days in advance. Many advanced weather websites and apps allow you to view these models alongside radar and satellite data. Finally, community preparedness and local government information are crucial. Knowing your local evacuation zones, understanding your neighborhood’s specific risks (e.g., prone to flooding, old infrastructure), and having communication plans with neighbors can be just as important as any technological tool. By integrating the immediate, localized insights from the live typhoon radar with the broader, official, and community-based information, you create a robust safety net that significantly increases your resilience against the destructive power of typhoons. Stay informed, stay alert, and stay safe!