NOAA Hurricane Tracker: Real-Time Satellite Updates

E.Ittepic 13 views
NOAA Hurricane Tracker: Real-Time Satellite Updates

NOAA Hurricane Tracker: Real-Time Satellite Updates

Hey guys! If you’re anything like me, you’re fascinated (and maybe a little anxious) about hurricanes, especially when they’re brewing out in the ocean. One of the best tools we have for keeping an eye on these powerful storms is the NOAA Hurricane Satellite Tracker . NOAA, or the National Oceanic and Atmospheric Administration, uses a network of satellites to provide real-time updates on hurricane location, intensity, and movement. This information is crucial for forecasters, emergency responders, and folks like us who want to stay informed and prepared.

Understanding NOAA’s Satellite System

So, how does this whole satellite tracking thing work? NOAA relies on a combination of geostationary and polar-orbiting satellites. Geostationary satellites hang out way up in space, about 22,300 miles above the Earth, and they stay put over a specific location. This allows them to continuously monitor the same area, providing a constant stream of images and data. Polar-orbiting satellites, on the other hand, circle the Earth from pole to pole, giving us detailed snapshots of different regions as they pass overhead. These satellites are equipped with a variety of sensors that can measure things like cloud cover, wind speed, and sea surface temperature. All this data is then fed into sophisticated computer models that help forecasters predict a hurricane’s path and strength. Understanding the capabilities of these satellites is crucial for anyone looking to stay informed about hurricane activity. The data collected isn’t just about pretty pictures; it’s about understanding the storm’s dynamics and predicting its behavior. By tracking changes in cloud formation, wind patterns, and sea temperatures, scientists can get a sense of where the hurricane is headed and how intense it might become. This information is then used to issue warnings and advisories, giving communities time to prepare and evacuate if necessary. The NOAA Hurricane Satellite Tracker is more than just a tool for scientists; it’s a vital resource for anyone who lives in hurricane-prone areas.

Accessing the NOAA Hurricane Satellite Tracker

Alright, so where can you actually access this amazing hurricane tracking information? The good news is that NOAA makes it readily available to the public through its website. Just head over to the NOAA National Hurricane Center (NHC) website, and you’ll find a wealth of information, including satellite images, forecast tracks, and advisories. There are also many third-party websites and apps that pull data from NOAA, presenting it in user-friendly formats. These apps often offer features like push notifications, so you can get alerts when a hurricane is approaching your area. Navigating the NOAA website can be a bit overwhelming at first, but once you get the hang of it, you’ll find it’s a treasure trove of information. The satellite imagery is updated frequently, giving you a near real-time view of the storm’s progress. The forecast tracks show the predicted path of the hurricane, along with the cone of uncertainty, which represents the range of possible paths the storm could take. And the advisories provide detailed information about the storm’s current location, intensity, and expected movement. If you’re looking for a more streamlined experience, consider downloading a hurricane tracking app. Many of these apps offer a clean and intuitive interface, making it easy to stay informed on the go. Plus, with push notifications, you’ll never miss an important update. Whether you prefer the NOAA website or a third-party app, the key is to stay informed and be prepared.

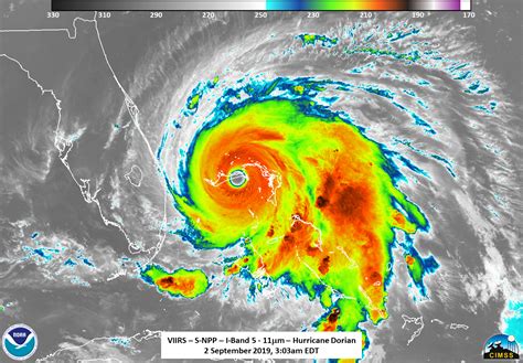
Interpreting Satellite Images and Data

Okay, you’ve found the satellite images , but what do they actually mean? Don’t worry, it’s not as complicated as it looks! When you’re looking at a satellite image of a hurricane, pay attention to the storm’s eye. A well-defined eye usually indicates a strong hurricane. The tighter and more circular the eye, the more intense the storm is likely to be. Also, look at the overall shape and size of the storm. A large, sprawling hurricane can cause widespread damage, even if its winds aren’t as strong as a smaller, more compact storm. The colors in the satellite images can also tell you a lot. Different colors represent different temperatures, with colder temperatures typically indicating higher cloud tops and more intense rainfall. In addition to satellite images, NOAA also provides a wealth of data, including wind speed, pressure, and storm surge forecasts. Understanding this data can help you assess the potential impact of a hurricane on your area. Wind speed is a key indicator of the storm’s intensity, with higher wind speeds causing more damage. Pressure is another important factor, as lower pressure indicates a stronger storm. Storm surge is the abnormal rise in sea level caused by a hurricane, and it can be one of the most dangerous aspects of these storms. By understanding how to interpret satellite images and data, you can make more informed decisions about how to prepare for a hurricane.

Preparing for Hurricane Season

Alright, let’s talk about being prepared. Hurricane season can be a stressful time, but taking proactive steps can make a huge difference. First and foremost, know your risk. Are you in an evacuation zone? If so, have a plan for where you’ll go and how you’ll get there. It’s also a good idea to put together a hurricane preparedness kit that includes essentials like water, food, medication, and a weather radio. Make sure your kit is easily accessible and that everyone in your family knows where it is. In addition to having a physical kit, it’s also important to have a communication plan. How will you stay in touch with family and friends if the power goes out? Consider designating a meeting place in case you get separated. And don’t forget to protect your property. Trim trees and shrubs around your home to prevent them from becoming projectiles in high winds. Secure loose objects like patio furniture and garbage cans. And if you live in a flood-prone area, consider investing in flood insurance. Being prepared for hurricane season is not just about protecting yourself and your property; it’s about protecting your community. By taking proactive steps to prepare, you can help reduce the impact of these storms and ensure that everyone stays safe.

The Importance of Staying Informed

In conclusion, the NOAA Hurricane Satellite Tracker is an invaluable tool for anyone who lives in hurricane-prone areas. By providing real-time updates on hurricane location, intensity, and movement, it helps us stay informed and prepared. Whether you’re a seasoned weather enthusiast or just someone who wants to keep your family safe, the NOAA Hurricane Satellite Tracker is a resource you can’t afford to ignore. Remember, staying informed is the first step in staying safe. So, keep an eye on the skies, stay tuned to your local news, and be prepared to take action when necessary. And most importantly, stay safe out there, guys! The ability to monitor these storms from space has revolutionized our understanding and preparedness. With tools like the NOAA Hurricane Satellite Tracker, we’re better equipped than ever to face the challenges of hurricane season.