NOAA Hurricane Tracker: Live Radar Updates

E.Ittepic 83 views
NOAA Hurricane Tracker: Live Radar Updates

NOAA Hurricane Center Radar Live Tracker

Understanding and tracking hurricanes is crucial for those in affected areas. With the NOAA Hurricane Center radar live tracker , staying informed has never been easier. This advanced tool provides real-time updates and detailed information about hurricane paths, intensity, and potential impact zones. So, guys, let’s dive into how you can make the most of this resource to keep yourself and your loved ones safe during hurricane season.

Accessing the NOAA Hurricane Center Radar

First off, accessing the NOAA Hurricane Center radar is super straightforward. You can find it directly on the NOAA National Hurricane Center (NHC) website. Just type “NOAA NHC” into your search engine, and you’ll land right on their homepage. From there, navigate to the “Radar” or “Storm Tracking” section – usually prominently displayed – and you’ll get access to the live radar imagery. Bookmark this page ! Seriously, having it ready to go can save you precious time when a storm is brewing. The site is designed to be user-friendly, even if you’re not a tech whiz. You’ll find interactive maps, satellite images, and various other tools to help you understand what’s happening in real-time. The great thing about the NOAA radar is its reliability; it’s constantly updated with the latest data from weather satellites, radar stations, and even hurricane hunter aircraft. This means you’re getting the most accurate information possible. Plus, the NOAA website offers a wealth of additional resources, including forecast discussions, public advisories, and hurricane preparedness tips. Take some time to explore these sections – they can really help you understand the potential risks and take appropriate action. In addition to the website, many weather apps and websites also pull data from the NOAA, so you can often find the same radar imagery on your phone or tablet. This is super handy for staying informed while you’re on the go. Just make sure the app or website you’re using is pulling data directly from NOAA to ensure you’re getting the most accurate and up-to-date information. When you’re viewing the radar, pay attention to the color scales. These colors indicate the intensity of the rainfall, with reds and oranges typically indicating the heaviest precipitation. Also, look for the storm’s eye – it’s usually a clear or lightly clouded area in the center of the hurricane. Tracking the eye’s movement is crucial for understanding the storm’s path. Remember, staying informed is the first step in staying safe during a hurricane. So, take the time to familiarize yourself with the NOAA Hurricane Center radar and other resources. It could make all the difference.

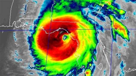
Understanding Radar Imagery

Understanding radar imagery is key to interpreting the data provided by the NOAA Hurricane Center. When you look at the radar, you’re essentially seeing a map of precipitation intensity. Different colors represent different levels of rainfall, with blues and greens typically indicating lighter rain, while yellows, oranges, and reds signify heavier downpours. The intensity of the colors directly corresponds to the amount of rainfall occurring in that area. Also, keep an eye on the shape and size of the rain bands. These bands can give you clues about the hurricane’s structure and intensity. Tightly wound, symmetrical rain bands often indicate a stronger, more organized storm. The eye of the hurricane is usually quite distinctive – a clear or lightly clouded area in the center of the storm. The eye represents the calmest part of the hurricane, but don’t let that fool you. The most intense winds and rainfall are usually found in the eyewall, the ring of thunderstorms surrounding the eye. Tracking the movement of the eye is crucial for predicting the hurricane’s path and potential landfall location. NOAA uses sophisticated algorithms and models to forecast the storm’s track, but it’s always a good idea to monitor the radar imagery yourself to get a sense of what’s happening in real-time. Remember, hurricane tracks can change, so staying vigilant is essential. In addition to rainfall intensity, radar can also detect other features, such as debris and even tornadoes. Debris signatures on radar can indicate the presence of strong winds and potential damage. Tornadoes are often associated with hurricanes, especially in the outer rain bands. If you see a hook-like feature on the radar, it could be a sign of a tornado. Pay close attention to any tornado warnings issued by the National Weather Service and take immediate action if you’re in the path of a tornado. Guys, learning to interpret radar imagery takes practice, but it’s a valuable skill that can help you stay informed and make better decisions during a hurricane. Don’t be afraid to experiment with different radar views and zoom levels to get a better understanding of what’s happening. The more you familiarize yourself with the radar, the better you’ll be able to interpret the data and protect yourself and your loved ones.

Key Features of the NOAA Live Tracker

The NOAA live tracker isn’t just a basic radar; it’s packed with features that help you stay informed. One of the most useful features is the real-time data updates . The radar imagery is constantly refreshed with the latest information from weather satellites, radar stations, and hurricane hunter aircraft. This means you’re always getting the most up-to-date picture of the storm’s location, intensity, and movement. Another key feature is the ability to zoom in and out of the radar imagery. This allows you to focus on specific areas of interest and get a closer look at the storm’s structure. You can also pan around the map to see how the hurricane is affecting different regions. The NOAA live tracker also provides detailed information about the hurricane’s current conditions, including its wind speed, central pressure, and direction of movement. This information is updated regularly and can help you assess the potential risks associated with the storm. In addition to the radar imagery and current conditions, the NOAA live tracker also includes forecast models. These models use sophisticated algorithms to predict the storm’s future path and intensity. While these models are not always perfect, they can give you a good idea of where the hurricane is likely to go and how strong it’s likely to be. The NOAA live tracker also offers a variety of different radar views. You can choose to view the radar imagery in standard definition or high definition. You can also select different radar products, such as base reflectivity, composite reflectivity, and storm relative velocity. Each of these products provides a different perspective on the storm and can help you understand its behavior. Guys, the NOAA live tracker is a powerful tool that can help you stay informed and make better decisions during a hurricane. Take some time to explore its features and learn how to use them effectively. The more you know about the hurricane, the better prepared you’ll be to protect yourself and your loved ones.

How to Use the Tracker for Safety

Using the NOAA hurricane tracker for safety involves more than just looking at pretty colors. You need to actively monitor the storm’s progress and use the information to make informed decisions. Start by checking the tracker regularly, especially when a hurricane is approaching your area. Pay attention to the storm’s predicted path and potential landfall location. If you’re in the path of the storm, it’s time to start preparing. Begin by securing your home. Bring in any outdoor furniture, loose objects, and debris that could become projectiles in strong winds. Board up windows and reinforce doors to protect against damage. Gather essential supplies, such as food, water, medications, and a first-aid kit. Make sure you have enough supplies to last for several days in case of power outages or road closures. Develop a communication plan with your family and friends. Designate a meeting place in case you get separated. Charge your cell phones and consider purchasing a portable charger to keep them powered up. Stay informed about the latest weather updates and warnings. Monitor the NOAA live tracker, listen to local news broadcasts, and check the National Weather Service website for any alerts or advisories. If authorities issue an evacuation order, follow it immediately. Don’t wait until the last minute to evacuate, as roads can become congested and dangerous. If you’re not in an evacuation zone, stay indoors and away from windows during the storm. Find a safe room or interior space where you can take shelter. Once the storm has passed, wait for official confirmation that it’s safe to go outside. Be aware of potential hazards, such as downed power lines, flooding, and debris. Report any damage or injuries to the authorities. Guys, the NOAA hurricane tracker is a valuable tool, but it’s just one piece of the puzzle. You also need to take personal responsibility for your safety. By staying informed, preparing in advance, and following official instructions, you can increase your chances of staying safe during a hurricane.

Additional Resources for Hurricane Preparedness

Beyond the NOAA Hurricane Center radar live tracker , there are many additional resources available to help you prepare for hurricane season. The Federal Emergency Management Agency (FEMA) website is a great place to start. FEMA provides a wealth of information on hurricane preparedness, including tips on how to create a disaster plan, build a disaster kit, and protect your home. The National Weather Service (NWS) website is another valuable resource. The NWS provides up-to-date weather forecasts, warnings, and advisories. You can also find detailed information about hurricane hazards, such as storm surge, flooding, and high winds. Your local emergency management agency is also a good source of information. These agencies often provide specific guidance for residents in your area, including evacuation routes, shelter locations, and contact information for local resources. Consider attending a hurricane preparedness workshop or seminar. These events can provide you with valuable information and hands-on training on how to prepare for a hurricane. You can also find many online resources, such as webinars, videos, and articles, that can help you learn more about hurricane preparedness. Don’t forget to talk to your neighbors, friends, and family about your hurricane plan. Sharing information and resources can help everyone in your community stay safe. Guys, hurricane preparedness is a team effort. By working together and utilizing all available resources, we can minimize the impact of these powerful storms. Check your insurance policies to ensure you have adequate coverage for hurricane damage. Review your homeowners insurance policy and flood insurance policy (if applicable) to make sure you have enough coverage to repair or replace your property in the event of a hurricane. Consider purchasing additional insurance coverage if needed. Document your belongings by taking photos or videos. This documentation can be helpful when filing insurance claims after a hurricane. Store your documentation in a safe place, such as a waterproof container or a cloud-based storage service. Remember to trim trees and shrubs around your home. This can help reduce the risk of damage from falling branches during high winds. Secure any loose items in your yard, such as patio furniture, grills, and garbage cans.

By utilizing the NOAA Hurricane Center radar live tracker and other available resources, you can stay informed and prepared during hurricane season. Remember, staying vigilant and taking proactive measures are the keys to ensuring your safety and the safety of your loved ones.