INOAA Hurricane Tracker: Your Live Guide

E.Ittepic 74 views
INOAA Hurricane Tracker: Your Live Guide

INOAA Hurricane Tracker: Your Live Guide

Hey everyone! Are you ready to dive into the world of hurricanes and stay up-to-date with the INOAA Gov Hurricane Tracker live ? Well, buckle up because we’re about to explore everything you need to know about this essential tool. From understanding what it is and how it works, to using it effectively to stay safe during hurricane season, we’ve got you covered. The INOAA Gov Hurricane Tracker live is your go-to resource for real-time information, helping you monitor storms, track their paths, and make informed decisions. It’s like having a weather expert right at your fingertips, and trust me, in the face of a hurricane, that’s incredibly valuable.

So, what exactly is the INOAA Gov Hurricane Tracker live ? In a nutshell, it’s a dynamic, interactive map and data source provided by the National Oceanic and Atmospheric Administration (NOAA). This tool is designed to provide up-to-the-minute information on active tropical cyclones, including hurricanes, tropical storms, and tropical depressions. It’s your one-stop shop for everything related to hurricanes, offering details on storm location, intensity, movement, and potential impacts. The data is constantly updated, meaning you’re always looking at the latest information. This is super important because hurricanes can change direction and intensify rapidly, and the INOAA Gov Hurricane Tracker live ensures you’re always in the know. It is designed to provide up-to-the-minute information, using the latest satellite imagery, radar data, and weather models to give you the most accurate picture possible. The tracker is a vital tool for anyone living in or near hurricane-prone areas, as well as for anyone who wants to stay informed about severe weather events. The INOAA Gov Hurricane Tracker live offers a wealth of information, from the basics like storm location and wind speeds to more complex data such as projected paths and potential impacts. Knowing how to read the information and interpret the data can make a huge difference in preparing for a hurricane. Understanding the tracker can empower you with the knowledge to make informed decisions and stay safe. So, let’s explore how to navigate this tool. Understanding the INOAA Gov Hurricane Tracker live can make a huge difference in your preparedness. This is why knowing how to read the information and interpret the data can be a lifesaver.

Understanding the INOAA Gov Hurricane Tracker Live

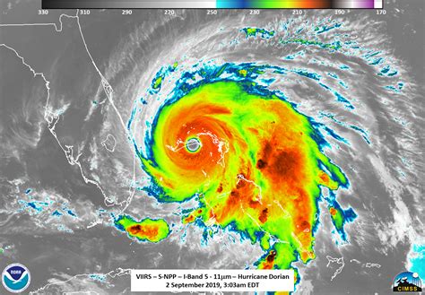
Alright, let’s get down to the nitty-gritty of how to use the INOAA Gov Hurricane Tracker live . Navigating the tracker might seem a bit overwhelming at first glance, but once you break it down, it’s actually pretty user-friendly. The main component is the interactive map, which visually displays the current location of all active tropical cyclones. Each storm is represented by a symbol, and the symbol’s color indicates the storm’s intensity, ranging from tropical depression to major hurricane. You’ll also see the projected track of the storm, often shown as a cone of uncertainty. This cone represents the likely path of the storm based on various weather models, and it’s essential to understand that the storm’s actual path could be anywhere within that cone. This cone is super important because it helps you visualize the potential impact area. The tracker also provides detailed information about each storm, including wind speeds, pressure, and the storm’s current movement. There are often tabs or sections that provide additional data, such as the probability of landfall, potential impacts, and any watches or warnings that have been issued. The data is often presented in tables and charts, which can provide a deeper understanding of the storm’s characteristics. Also, be sure to pay close attention to the watch and warning information. These are issued by the National Weather Service (NWS) and indicate the level of threat for a specific area. A hurricane watch means that hurricane conditions are possible within the next 48 hours, while a hurricane warning means that hurricane conditions are expected within the next 36 hours. The INOAA Gov Hurricane Tracker live is constantly updated, so you can always be confident that you’re looking at the latest data. Remember, the tracker is a tool to help you stay informed, but it’s not a substitute for official warnings and advice from local authorities. So, you must always stay informed and follow the instructions of emergency officials.

Interpreting the Information

Okay, now let’s talk about interpreting the information provided by the INOAA Gov Hurricane Tracker live . This is where things get really interesting, because understanding the data is critical to making informed decisions. The first thing you’ll want to pay attention to is the storm’s intensity, which is usually categorized using the Saffir-Simpson Hurricane Wind Scale. This scale ranges from Category 1 (the weakest) to Category 5 (the strongest), with each category indicating a range of wind speeds. The higher the category, the more dangerous the storm. Check the wind speed, because this gives you an idea of the storm’s potential to cause damage. Next, look at the storm’s projected path, remembering that the cone of uncertainty represents the likely path. The size of the cone can vary depending on the accuracy of the weather models. The wider the cone, the less certain the path. Be sure to understand that the storm’s actual path could be anywhere within the cone. Also, pay close attention to the storm’s forward speed and direction. This information helps you understand how quickly the storm is moving and in what direction. The faster the storm is moving, the less time you have to prepare. Additionally, be aware of any watches or warnings that have been issued for your area. These warnings are based on the latest forecast data and indicate the level of threat. Hurricane watches and warnings provide critical information that you need to know. Remember, the INOAA Gov Hurricane Tracker live is just one piece of the puzzle. It’s essential to combine this information with other resources, such as local news, official warnings, and advice from emergency officials.

Additional Features and Resources

Now, let’s explore some of the additional features and resources available on the INOAA Gov Hurricane Tracker live . Beyond the basic storm tracking information, the tracker often includes other useful features. For example, many trackers provide satellite imagery and radar data, which can give you a visual representation of the storm’s structure and intensity. You might also find interactive tools that allow you to customize the map, such as zooming in on specific areas or displaying different layers of information. Some trackers offer historical data, allowing you to examine past storms and compare them to the current situation. This is super helpful for understanding how hurricanes have behaved in the past and what to expect in the future. The tracker also provides links to other resources, such as the National Hurricane Center’s official website, local news outlets, and emergency preparedness guides. You will be able to access all the information in one place. These resources can provide more detailed information, including specific forecasts, evacuation orders, and safety tips. Check the additional resources because they give you a deeper understanding of the potential risks and how to prepare. Remember, the INOAA Gov Hurricane Tracker live is just one tool in your arsenal. The more information you have, the better prepared you will be. Always stay informed and prepared, and always follow the instructions of emergency officials. Having access to these features can significantly enhance your understanding of the situation and help you make informed decisions.

Staying Safe During Hurricane Season

Alright, let’s shift gears and talk about how to stay safe during hurricane season, using the INOAA Gov Hurricane Tracker live as a valuable resource. First things first, it’s super important to have a hurricane preparedness plan in place. This plan should include your evacuation route, the location of your nearest shelter, and a list of essential supplies. Having a plan in advance can reduce your stress and help you act quickly when a hurricane approaches. If you are in an area that is at risk, you should make a plan and be ready to implement it when a hurricane approaches. Another important thing is to monitor the INOAA Gov Hurricane Tracker live regularly throughout hurricane season. Check the tracker frequently to stay informed about any developing storms or changes in the forecast. Early detection of potential hazards is key. Be vigilant in monitoring the tracker and paying attention to any watches or warnings that are issued for your area. When a hurricane threatens, stay informed by watching local news, listening to weather radio, and checking the INOAA Gov Hurricane Tracker live frequently. Also, gather essential supplies such as food, water, medications, and a first-aid kit. Having a disaster kit will help you in case you are isolated from assistance. Following the guidelines of emergency officials is very important. Heed evacuation orders and take shelter when necessary. The safety of your life is the top priority. Also, be sure to secure your home. This includes boarding up windows, trimming trees, and bringing in any outdoor objects that could become projectiles. The goal is to minimize damage to your property. And of course, always follow the instructions of local authorities. They will provide you with important information and guidance on how to stay safe. Remember, preparation and staying informed are your best defenses against hurricanes.

Preparation Checklist

To help you stay organized and prepared, here’s a quick preparation checklist to complement your use of the INOAA Gov Hurricane Tracker live :

  • Create a Plan : Develop a family emergency plan, including evacuation routes, meeting points, and communication strategies.
  • Gather Supplies : Assemble a disaster kit with essential items like food, water, medications, a first-aid kit, and a flashlight.
  • Secure Your Home : Protect your home by boarding up windows, trimming trees, and securing outdoor objects.
  • Stay Informed : Monitor the INOAA Gov Hurricane Tracker live , local news, and weather updates regularly.
  • Know Your Risks : Understand your area’s flood risk and potential for storm surge.
  • Heed Warnings : Pay close attention to hurricane watches and warnings issued by the NWS.
  • Follow Instructions : Obey evacuation orders and follow the guidance of local authorities.

The Importance of Staying Informed

Let’s wrap things up by emphasizing the importance of staying informed and using the INOAA Gov Hurricane Tracker live . In the face of a hurricane, knowledge is power. The INOAA Gov Hurricane Tracker live is an invaluable tool, but it’s just one piece of the puzzle. Combining this information with other resources, such as local news and official warnings, is essential for making informed decisions. Continuous monitoring, combined with a comprehensive understanding of hurricane preparedness, is critical. Being prepared and informed can drastically increase your safety and help you protect your property. The goal is to stay ahead of the storm and respond proactively. By using the INOAA Gov Hurricane Tracker live effectively and staying informed, you can significantly increase your chances of staying safe during hurricane season. So, stay vigilant, be prepared, and stay safe out there, guys! Remember, the INOAA Gov Hurricane Tracker live is your friend during hurricane season. Embrace the power of information and stay safe. Remember, your safety is the most important thing! Remember, it’s not just about the tracker itself, but also about how you use it in conjunction with other resources and your overall preparedness plan. Remember to always prioritize your safety and the safety of your loved ones.