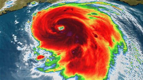
Iberyl Hurricane Satellite: Tracking Storms In Real-Time

E.Ittepic 3 views
Iberyl Hurricane Satellite: Tracking Storms In Real-Time

Iberyl Hurricane Satellite: Tracking Storms in Real-Time

Hey everyone, let’s dive into something super fascinating: the Iberyl Hurricane Satellite and how it helps us track these massive storms in real-time. We’ll explore what it is, how it works, and why it’s so incredibly important for keeping us safe. Plus, we’ll see how you can access the latest information. Buckle up, because we’re about to get a crash course in hurricane tracking!

What is the Iberyl Hurricane Satellite?

So, what exactly is the Iberyl Hurricane Satellite? Well, it’s not a single satellite, guys. It’s more of a concept or a system that utilizes various satellites to monitor hurricanes and tropical storms. These satellites are packed with advanced technology, allowing them to capture all sorts of data about hurricanes. The Iberyl Hurricane Satellite system isn’t just one type of satellite; it leverages a combination of different ones, each with its special abilities. Some of these satellites orbit the Earth in a geostationary position, meaning they stay fixed over a specific spot. This is awesome because it lets them continuously watch a certain area. Others zip around the Earth in different orbits, providing more detailed looks at different times. Together, they form a powerful network for tracking hurricanes. The main goal here is to provide real-time data so meteorologists and emergency responders can quickly and accurately assess a storm’s behavior. This means better warnings and more effective preparedness measures for everyone in the path of these dangerous storms. Also, the data gathered by the Iberyl Hurricane Satellite isn’t just used for short-term forecasts. Scientists use it to study long-term trends in hurricane activity, helping us understand how climate change might be affecting these storms. This is serious stuff, and it’s all thanks to the amazing technology in these satellites. This sophisticated setup gives us a comprehensive view of hurricanes, which is super important when we’re trying to stay safe and informed. So, next time you hear about a hurricane, remember the Iberyl Hurricane Satellite working hard up there, keeping an eye on things for us.

The Importance of Real-Time Hurricane Tracking

Why is real-time hurricane tracking such a big deal, you ask? Well, it’s all about saving lives and minimizing damage . Hurricanes can change direction or intensity in a flash. Real-time data from the Iberyl Hurricane Satellite lets meteorologists update their forecasts as quickly as possible. This means more accurate warnings and more time for people to prepare. Just imagine being able to know exactly where and when a hurricane is going to hit—that’s the power of real-time tracking! The Iberyl Hurricane Satellite helps predict a hurricane’s path and intensity. The data from the satellites feeds into incredibly complex computer models. These models analyze all sorts of info, like wind speed, sea surface temperature, and atmospheric pressure. From this, experts can estimate how a hurricane will evolve over time. This information is crucial for issuing evacuation orders and making sure emergency services are ready. Real-time data allows for precise tracking, it’s also key to making sure that these warnings and advisories are as accurate and timely as possible. This is not just about forecasting the storm’s path; it’s also about figuring out how strong it will be. Satellites can measure wind speeds, rainfall, and even the size of the storm itself. The information is critical for assessing the potential impact, allowing authorities to prepare for the right resources and aid.

This technology has made a huge difference in how we handle hurricanes. In the old days, we relied on limited observations and guesswork, but now, thanks to real-time tracking, we have a much better chance of staying safe. And it isn’t just about watching the storms; it also helps us understand the factors that influence them. Scientists can use the data from the Iberyl Hurricane Satellite to learn more about hurricanes, improving our understanding of how they form, grow, and interact with the environment. This knowledge is crucial for longer-term planning, such as understanding the effects of climate change. Knowing how a hurricane might change due to climate change is a massive area of focus. By tracking hurricanes in real-time, we get better preparedness, more accurate warnings, and a much better chance of weathering these storms safely.

How the Iberyl Hurricane Satellite Works

Okay, let’s break down the nitty-gritty of how the Iberyl Hurricane Satellite actually works. It’s like having a team of super-powered eyes in space, watching over the planet. The system uses a whole bunch of different types of satellites, each playing its own role in the big picture. Some satellites hang out in geostationary orbit , which means they stay in the same spot relative to Earth. This is super useful because they can constantly monitor a specific area, keeping a close eye on any developing storms. Then you’ve got satellites in polar orbit , which travel around the Earth from pole to pole. These guys provide more detailed looks at different times, giving us a complete picture. Together, these satellites capture various kinds of data. Think about it: they measure wind speeds, sea surface temperatures, rainfall, and cloud formations. They also use special instruments to track the movement of the storm and measure its intensity. This info is crucial for understanding how the hurricane is behaving, where it’s going, and how strong it is. The data collected by the satellites is sent back to Earth, where it’s analyzed by meteorologists and computer models. These models take all the raw data and use it to predict the storm’s path, strength, and potential impact. It’s like a complex puzzle where each piece of data helps to build a clearer picture. Because the satellites provide real-time data, the forecasts can be updated quickly as the storm changes. This means more accurate warnings and more time to prepare. The satellites are equipped with advanced sensors that can detect all sorts of things, including infrared and microwave radiation. This helps them ‘see’ through clouds and collect data even at night. This gives us a much more comprehensive view of the hurricane, allowing for better tracking and analysis. These sensors can measure wind speed near the ocean surface, which is super important for understanding the storm’s strength and potential damage. The whole system is a marvel of technology.

Key Technologies and Instruments

Let’s get into some of the cool tech that makes the Iberyl Hurricane Satellite system work. These satellites are not just floating boxes; they’re packed with some seriously advanced instruments. One key technology is the radiometer , which measures the energy emitted by the Earth’s surface and atmosphere. This helps scientists determine the temperature of the sea surface, which is critical for understanding the strength of a hurricane. Then there’s the scatterometer , which measures wind speed and direction over the ocean surface. This information is a major factor in predicting how strong the hurricane will be and how much damage it could cause. Another important tool is the imager , which captures visible and infrared images of the storm. These images help track the movement of the storm and provide information about the cloud structure. These images help meteorologists track the storm’s intensity. Microwave sensors are also important. They can ‘see’ through clouds and measure rainfall, providing information about the storm’s intensity and potential flooding. Each of these instruments feeds data into complex computer models that predict the storm’s path and intensity. This is a game of science and technology, helping experts make the best decisions possible. The satellites also use GPS technology to determine their exact position, making sure the data is accurate. The use of all these technologies together creates a powerful system that provides a comprehensive view of hurricanes.

Accessing Live Hurricane Information

So, you want to stay updated on the latest hurricane activity? Awesome! There are tons of resources available to get you the info you need. A great place to start is the National Hurricane Center (NHC) website. The NHC is the official source for hurricane forecasts and warnings. They provide detailed information about active storms, including their current location, expected path, wind speeds, and potential impacts. The NHC’s website is packed with maps, charts, and graphics that make it easy to understand the information. You can also find the latest advisories, watches, and warnings. Another great resource is the National Oceanic and Atmospheric Administration (NOAA) . NOAA provides a wealth of information about weather and climate, including hurricane tracking. They have a variety of tools, such as satellite imagery, radar data, and model forecasts. There are tons of other websites and apps that offer real-time hurricane tracking information, such as weather apps. They often provide interactive maps that let you see the storm’s path, wind speeds, and potential impacts. Many of these apps also send you alerts and notifications when a storm is approaching. Social media is also another powerful tool. Many news organizations and weather experts share up-to-the-minute updates on social media platforms. You can follow these accounts to stay informed about the latest developments. Also, if you live in an area that is prone to hurricanes, make sure you sign up for local emergency alerts. These alerts provide information about evacuations, shelter locations, and other important safety measures. Staying informed is important, so it is necessary to take advantage of these resources.

Tips for Staying Informed and Safe

Staying informed and safe during a hurricane is essential, and here are a few tips to help you out, guys. First, make sure you know your evacuation zone. Your local authorities will have designated zones based on the level of risk from a hurricane. Knowing your zone will help you know whether you need to evacuate or not. Pay close attention to official sources. The National Hurricane Center, NOAA, and your local emergency management agencies are your best sources of information. Be wary of unverified information from social media. Create a disaster preparedness kit that includes essential supplies, such as water, food, first-aid supplies, a flashlight, and a radio. You need to make sure you have enough supplies to last for several days in case of an emergency. Have a plan for communicating with your family. Make sure everyone knows where to meet if you get separated. Establish an out-of-state contact person who can act as a point of contact for the family. Secure your property. Bring loose objects inside or tie them down to prevent them from becoming projectiles. Board up windows and reinforce doors. If you live in a flood-prone area, make sure you have flood insurance and know the elevation of your home. If you’re told to evacuate, do so immediately. It is better to be safe than sorry, so do not take any chances. Finally, listen to the authorities and follow their instructions. They will provide the best guidance during a hurricane. By following these tips, you can stay informed and improve your safety.

Conclusion

So, to wrap things up, the Iberyl Hurricane Satellite system is super important. It gives us a real-time look at these dangerous storms, helping us stay safe. Through a combination of different satellites, these satellites track the storms, providing essential data. Remember that knowing how to access and interpret this information is crucial for staying informed and being prepared. Let’s keep supporting the science and technology that helps us prepare for and respond to these powerful natural events. Stay safe, everyone!